Skip To Content

1313 S Harwood Way E

Francis, UT 84036
  • $750,000
  • STATUS: Active
  • ON SITE: 29 Days
  • MLS #: 2137128
UPDATED: 74 min ago
$750,000
  • 0
    BEDS
  • 0.61
    ACRES
  • 0
    BATHS
  • 0
    1/2 BATHS
Neighborhood:
Type:
Commercial
Built:
2026
County:

School Ratings & Info

Description

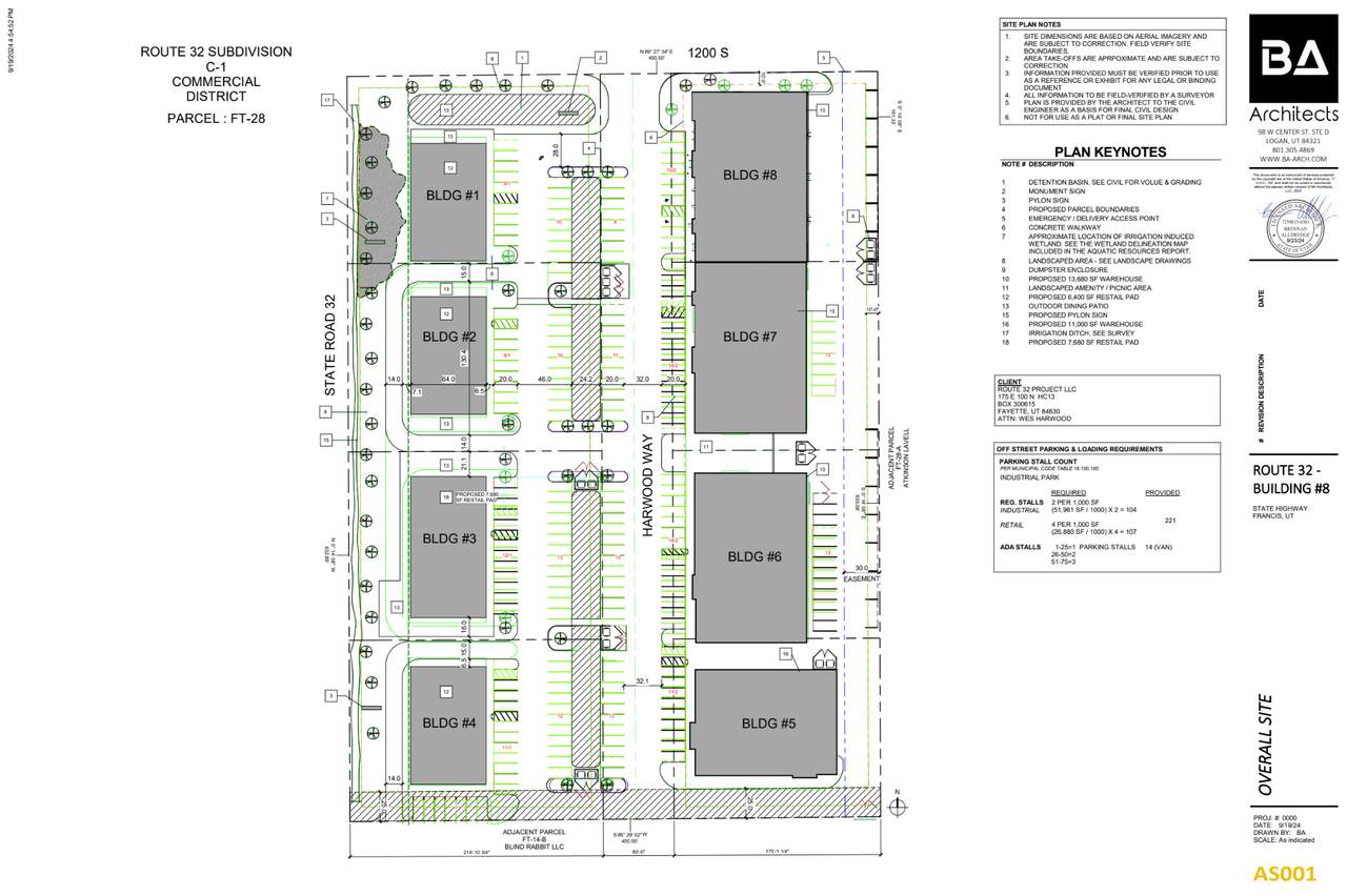
Discover an exceptional opportunity to secure a .61-acre pad-ready commercial building lot within the highly desirable Route 32 Project-one of the fastest-growing commercial corridors in the Kamas Valley. This site is fully improved and ready for immediate development, offering unmatched convenience, visibility, and long-term value for any owner-user, investor, or business looking to establish a presence in a thriving market. This premium lot comes fully prepared with all utilities already stubbed, including power, water, sewer, and fiber, significantly reducing both cost and timeline to build. With level topography, engineered soils, and direct access from Route 32, the site is perfectly suited for office, flex, retail, light commercial, or mixed-use applications. Positioned within a master-planned flex campus featuring high-quality construction, modern architecture, and professional neighboring businesses, this parcel benefits from excellent traffic counts, strong local demographics, and year-round activity from recreation, tourism, and full-time residents. Whether you're expanding your commercial footprint or looking for a strategic long-term asset, this lot offers the rare combination of readiness, location, and future upside-all within one of Utah's most supply-constrained markets. .61 acres, pad-ready and fully buildable Engineered pad with level, compacted soils. Fast-growing area with strong demand and limited commercial inventory. Excellent visibility and accessible directly from Route 32 All utilities onsite and stubbed (power, water, sewer, fiber) Ideal for flex, office, retail, or light commercial Part of the upscale Route 32 flex campus

Monthly Payment Calculator



Based on information from the Wasatch Front Regional Multiple Listing Service, Inc. as of 2026-03-14T23:39:37.33. All data, including all measurements and calculations of area, is obtained from various sources and has not been, and will not be, verified by broker or the MLS. All information should be independently reviewed and verified for accuracy. Properties may or may not be listed by the office/agent presenting the information.The information provided is for consumers' personal, non-commercial use and may not be used for any purpose other than to identify prospective properties consumers may be interested in purchasing. Information deemed reliable but not guaranteed accurate. Buyer to verify all information.
www.jeffcamp.com/homes/173036489
Print Image

1313 S Harwood Way E Francis, UT 84036

  • Price: $750,000
  • Status: Active
  • On Site: 29 Days
  • Updated: 74 min ago
  • MLS #: 2137128
0
Beds
0
Baths
0
½ Baths
0.61
Acres
2026
Built
Neighborhood:
Kamas; Woodland; Marion
County:
Summit
Area:
Kamas; Woodland; Marion
Property Description
Discover an exceptional opportunity to secure a .61-acre pad-ready commercial building lot within the highly desirable Route 32 Project-one of the fastest-growing commercial corridors in the Kamas Valley. This site is fully improved and ready for immediate development, offering unmatched convenience, visibility, and long-term value for any owner-user, investor, or business looking to establish a presence in a thriving market. This premium lot comes fully prepared with all utilities already stubbed, including power, water, sewer, and fiber, significantly reducing both cost and timeline to build. With level topography, engineered soils, and direct access from Route 32, the site is perfectly suited for office, flex, retail, light commercial, or mixed-use applications. Positioned within a master-planned flex campus featuring high-quality construction, modern architecture, and professional neighboring businesses, this parcel benefits from excellent traffic counts, strong local demographics, and year-round activity from recreation, tourism, and full-time residents. Whether you're expanding your commercial footprint or looking for a strategic long-term asset, this lot offers the rare combination of readiness, location, and future upside-all within one of Utah's most supply-constrained markets. .61 acres, pad-ready and fully buildable Engineered pad with level, compacted soils. Fast-growing area with strong demand and limited commercial inventory. Excellent visibility and accessible directly from Route 32 All utilities onsite and stubbed (power, water, sewer, fiber) Ideal for flex, office, retail, or light commercial Part of the upscale Route 32 flex campus
Exterior Features

Attached Garage YN No Carport YN No Construction Status To Be Built Covered Spaces 0 Frontage Length 0.0 Garage YN No Horse Property YN No Lot Size Dimensions 0.0x0.0x0.0 Mobile Length 0 Mobile Width 0 Open Parking YN No Parking Total 0 Pool Private YN No Spa YN No View YN No Waterfront YN No

Interior Features

Bathrooms Partial 0 Cooling YN No Fireplace YN No Heating YN False Rooms Total 0

Property Features

Association YN No Current Use RetailOffice Lease Considered YN No New Construction YN Yes Property Attached YN No Property Sub Type Retail Senior Community YN No

Listing provided courtesy of Equity Real Estate (Advantage): . Information deemed reliable but not guaranteed accurate. Buyer to verify all information. © 2026 Wasatch Front Regional Multiple Listing Service, Inc., All Rights Reserved.


Based on information from the Wasatch Front Regional Multiple Listing Service, Inc. as of 2026-03-14T23:39:37.33. All data, including all measurements and calculations of area, is obtained from various sources and has not been, and will not be, verified by broker or the MLS. All information should be independently reviewed and verified for accuracy. Properties may or may not be listed by the office/agent presenting the information.The information provided is for consumers' personal, non-commercial use and may not be used for any purpose other than to identify prospective properties consumers may be interested in purchasing. Information deemed reliable but not guaranteed accurate. Buyer to verify all information.
 
https://bt-photos.global.ssl.fastly.net/wasatch/1280_boomver_2_2137128-1.jpg https://bt-photos.global.ssl.fastly.net/wasatch/1280_boomver_2_2137128-1.jpg https://bt-photos.global.ssl.fastly.net/wasatch/1280_boomver_2_2137128-1.jpg
Logo
High Country Properties
435 Aspen Drive, Apt 18
Park City UT, 84098